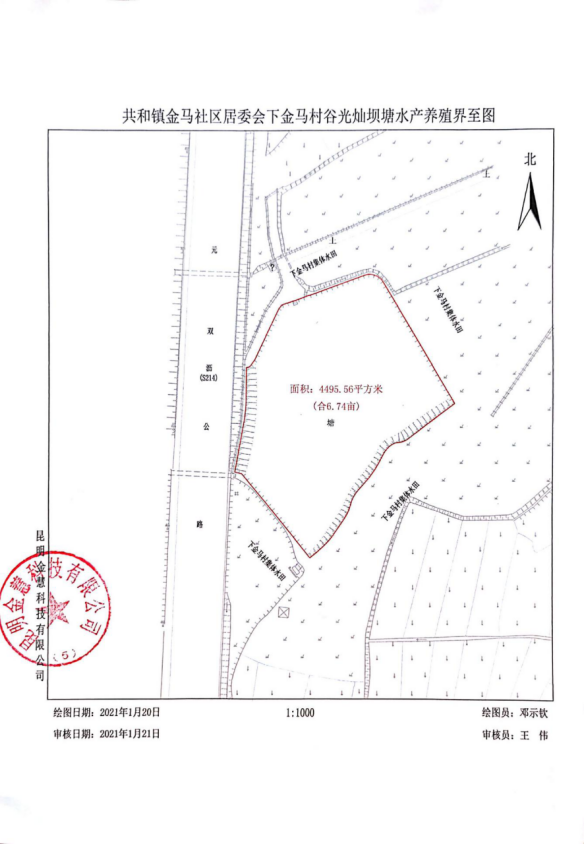
现将谷光灿申请下金马村坝《水域滩涂养殖证》予以公示。该申请养殖水域为牟定县共和镇金马社区居委会下金马村管理、以农业灌溉为主的水库,位于牟定县共和镇金马社区居委会下金马村,水域面积0.4496公顷,申请池塘式放养水产养殖,地址、范围见《下金马村坝界至图》。
现予以公示。公示期为10日,从2021年3月5日至2021年3月14日。如对权属或使用性质有异议、疑义,请持相关权属证件、证明或其他书面材料向牟定县行政审批局或牟定县农业农村局反馈。逾期无异议,我局将按照有关规定审批该水域滩涂养殖证申请。
牟定县行政审批局
联系电话:0878-5225336 13887884636
联系地址:牟定县共和镇南大街政务服务中心五楼50号窗口
牟定县农业农村局
联系电话:13887889759
联系地址:牟定县共和镇茅阳路农业农村局水产推广站
牟定县农业农村局
2021年3月4日
